Topic: Claoxylon dolichostachyum Cordem. - Ø - Euphorbiaceae - endémique de La Réunion
 
Claoxylon dolichostachyum Cordem. - Ø - Euphorbiaceae - endémique de La Réunion
 
essentiel du phénome
 
Photos
http://www.f-duban.fr/Decouvertes_naturalistes/Grande_Terre/photos-de-j-p-le-guelte/claoxylon-dolichostachyum.html
URLs
http://www.f-duban.fr/Decouvertes_naturalistes/Grande_Terre/photos-de-j-p-le-guelte/claoxylon-dolichostachyum.html
http://www.f-duban.fr/Decouvertes_naturalistes/Grande_Terre/photos-de-j-p-le-guelte/claoxylon-dolichostachyum-2.html#previous-photo
Descriptifs
mi-aime-a-ou
http://www.mi-aime-a-ou.com/claoxylon_dolichostachyum.php
 
Claoxylon dolichostachyum Cordem.
Espèce endémique de La Réunion.
 
- Nom scientifique : Claoxylon dolichostachyum Cordem.
- Ordre : Malpighiales.
- Famille : Euphorbiaceae - Euphorbiacées.
- Sous-famille : Acalyphoideae.
- Tribu : Acalypheae.
- Sous-Tribu : Claoxylinae.
- Genre : Claoxylon A. Juss.
- Origine : Endémique La Réunion.
 
 
Claoxylon dolichostachyum Cordem., appartient à la famille des Euphorbiaceae à la sous-famille des Acalyphoideae et au genre Claoxylon A. Juss., qui comprend environ 114 espèces originaires des régions tropicales.
 
Origine Claoxylon dolichostachyum Cordem.
 
Endémique de La Réunion, Claoxylon dolichostachyum Cordem est classé dans les espèces vulnérables de l'île, de plus en plus rare cette Euphorbiacée est présente dans les forêts humide de moyenne altitude, notamment dans le secteur de La Plaine des Palmistes.
 
Genre Claoxylon à La Réunion.
 
Le genre Claoxylon est représenté à La Réunion par :
- Claoxylon dolichostachyum Cordem. Endémique La Réunion.
- Claoxylon dolichostachyum Cordem. Gros bois d'oiseaux. Endémique La Réunion.
- Claoxylon grandifolium (Poir.) Müll.Arg. Endémique La Réunion et Maurice, taxon éteint.
- Claoxylon parviflorum A. Juss. Bois d'oiseaux. Endémique La Réunion, Maurice, Rodrigues.
- Claoxylon racemiflorum A. Juss. ex Baill. Grand bois cassant. Endémique Réunion, taxon menacé d'extinction.
- Claoxylon setosum Coode. Endémique Réunion, taxon gravement menacé d'extinction.
 
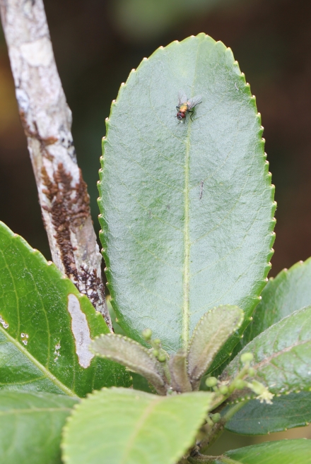
Description Claoxylon dolichostachyum Cordem.
 
Claoxylon glandulosum et un petit arbuste d'environ 2 m de hauteur à écorce grise, blanchâtre. Ses rameaux cylindriques sont poilus, tomenteux au sommet.
 
Les feuilles groupées au sommet des ramilles sont simples, alternes, pétiolées. Le pétiole porte généralement les mêmes poiles que les ramilles, il est muni de deux très petites stipules glanduleuses. Le limbe subcoriace est obovale, atténué à la base, obtus, apiculé au sommet, denté sur les bords, les dents inférieures sont glanduleuses. Le limbe est abondamment ponctué de petites saillies glanduleuses qui le rend rugueux surtout sur la face inférieure, très velues, presque tomenteuses en dessus, ainsi que les nervures.
 
Inflorescence en épis lâches à l'aisselle des feuilles supérieures. Rachis, bractées et calices sont poilus. Les fleurs mâles 2 à 3 à l'aisselle des bractées, étamines de 15 à 20 à filets blancs et anthères jaunâtres. Les fleurs femelles sont globuleuses.
 
Les fruits sont des capsules vertes, globuleuses.